- 市川市の不動産なら慶和住宅
- 土地をエリアから探す
- 松戸市
- 大金平
- 松戸市大金平2丁目 売地 解体更地渡し

【ご覧頂きありがとうございます!詳細は担当営業までお問合せ下さい!】
建築条件なし!お好きなハウスメーカーや工務店で建築が可能です。
参考プランの作成も致しますのでお気軽にお声がけ下さい!
建築条件なし!お好きなハウスメーカーや工務店で建築が可能です。
参考プランの作成も致しますのでお気軽にお声がけ下さい!
物件詳細情報
物件No.31020924177
| 所在地 | 千葉県松戸市大金平2丁目 | ||
|---|---|---|---|
| 交通 | 流山線「小金城趾」駅徒歩8分 流山線「幸谷」駅徒歩18分 常磐線「北小金」駅徒歩12分 |
||
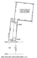
| 土地面積 | 129.03m² 実測 | ||
| 販売区画数 | 1区画 | 総区画数 | 全1区画 |
| 用途地域 | 第一種中高層住居専用地域 | 建ぺい率 | 60% |
| 容積率 | 200% | 都市計画 | 市街化区域 |
| 国土法届出 | 不要 | 建築条件 | 建築条件なし |
| 地目 | 宅地 | 現況 | 古家付 |
| 引渡時期 | 相談 | 引渡条件 | 更地渡し |
| 権利種類 | 所有権 | 取引態様 | 媒介 |
| 設備 | 公営水道、本下水、都市ガス | ||
| 備考・制限等 | ※確定測量中 ※建物解体は2025年8月末完了予定 ※前面道路との間に公図上水路があるため、接道条件は形式上満たしておりませんが、松戸市より当該地に「水路敷としての形跡はなく、出入口としての使用に支障がない」とする証明書が発行されております。なお、建築の際は公共施設管理者の許可が必要となります。 |
||
- ※価格は物件の代金総額を表示しており、消費税が課税される場合は税込み価格です。(1,000円未満は切り上げ。)
税率は引き渡し時期により異なりますので、各物件の詳細につきましてはお問い合わせください。 - ※敷地権利が借地権のものは価格に権利金を含みます。
- ※制作中に内容が変更される場合もありますので、あらかじめご了承ください。
- ※購入の前には物件内容や契約条件についてご自身で十分な確認をしていただくようにお願いいたします。
- ※完成予想図はいずれも外構、植栽、外観等実際のものとは多少異なることがあります。
- ※CG合成の画像の場合、実際とは多少異なる場合があります。
周辺地図
周辺施設一覧
- ショッピングセンター
- スーパー
- コンビニ
- ドラッグストア
- ホームセンター
- 飲食店
- その他店舗
- 商店街
- 大学
- 専門学校
- 高校・高専
- 中学校
- 小学校
- 保育園
- 幼稚園
- 公民館・児童館
- 病院
- 郵便局
- 役所
- 図書館
- 金融機関
- 警察・消防
- 趣味・娯楽施設
- 公園・運動施設
- 周辺の街並み
- 駅
- その他
お問い合せ先
- 株式会社慶和住宅
- お電話でのお問い合わせは
047-329-1800「ホームページを見た」とお問い合わせください - 千葉県市川市市川2-2-11 ドエル市川1F
- 営業時間:AM9:00~PM7:00
- 定休日:毎週水曜日
- 免許番号:千葉県知事免許(5)第14131号
- 市川市の不動産なら慶和住宅
- 土地をエリアから探す
- 松戸市
- 大金平
- 松戸市大金平2丁目 売地 解体更地渡し






