- 市川市の不動産なら慶和住宅
- 新築一戸建てをエリアから探す
- 市川市
- 真間
- 14号棟 【現 地 見 学 会】市川市真間5丁目 新築戸建 14棟の分譲地





京成本線「市川真間」駅徒歩14分の閑静な住宅地に全14棟現場で新しい街並みが誕生します!
JR総武線「市川」駅や北総線「矢切」駅も利用可能で通勤・通学等のアクセスに大変便利です。
小・中学校や公園が徒歩6分以内に揃い子育てにもうれしい住環境!
スーパーやドラッグストア等の買物施設も徒歩圏内で毎日のお買物も安心です。
JR総武線「市川」駅や北総線「矢切」駅も利用可能で通勤・通学等のアクセスに大変便利です。
小・中学校や公園が徒歩6分以内に揃い子育てにもうれしい住環境!
スーパーやドラッグストア等の買物施設も徒歩圏内で毎日のお買物も安心です。
担当スタッフより

- 原田 和幸
- ☆毎週土日祝日現地販売会を開催しています。お気軽にご来場ください☆
須和田公園や国府台公園近く緑も豊かな環境で新生活を始めませんか。全14棟現場ですから、お住まいになってからも安心のコミュニティです。現地だけでなく周辺環境のご案内もしております。地域密着型の不動産アドバイザーにお任せ下さい。送迎サービスも行っておりますのでお気軽にお問合せ下さい。
■全区画35坪以上、分譲地内4.5m道路
■ご家族みんながゆったりくつろげるLDK15帖超
■小・中学校が徒歩6分、お子さまの通学も安心
■スーパーが徒歩10分以内で毎日のお買物も楽々
■3路線3駅利用可能
【現地見学受付中】建築中もご案内できます!
<資料請求>から<ご案内>まで、お気軽にお問合せください。
各棟情報
物件詳細情報
物件No.20000429774-011
| 所在地 | 千葉県市川市真間5丁目 | ||
|---|---|---|---|
| 交通 | 総武線「市川」駅徒歩19分 京成本線「市川真間」駅徒歩14分 北総線「矢切」駅徒歩30分 |
||
| 間取 | 2SLDK + ロフト (LDK16.5帖、洋室6.5帖、洋室6.0帖、S6.0帖) | ||
| 土地面積 | 119.11m² 公簿 | ||
| 建物面積 | 85.86m² 公簿 | ||
| 販売戸数 | 11戸 | 総戸数 | 全14戸 |
| 構造・規模 | 木造 2階建て | 築年・入居 | 2026年3月 |
| バルコニー | 南向き | 建物現況 | 建築中 |
| 建築確認番号 | 第25UDI1W建08725号 | 駐車スペース | あり |
| 引渡時期 | 期日指定有(2026年3月下旬) | 国土法届出 | 不要 |
| 地目 | 宅地 | 用途地域 | 第一種低層住居専用地域 |
| 建ぺい率 | 40% | 容積率 | 80% |
| 都市計画 | 市街化区域 | 権利種類 | 所有権 |
| 接道 | 北側4.5M私道に接道 | 小学校区 | 真間小学校(450m) |
| 中学校区 | 第二中学校(450m) | 取引態様 | 媒介 |
| 設備 | 公営水道、個別浄化槽、都市ガス システムキッチン、システムバス、温水洗浄便座、シャワー付き洗面台、24時間換気、テレビモニター付きインターホン、他 |
||
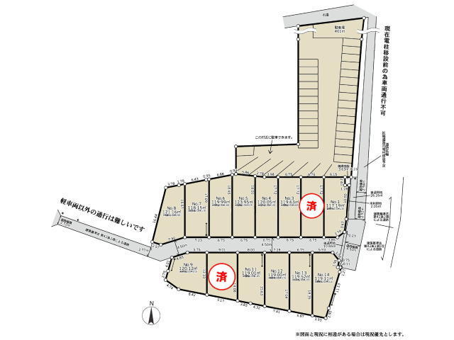
| 備考・制限等 | ※西側2.77m公道は軽車両以外の通行は困難です。 ※東側2.94m私道は現在電柱移設前のため車両通行不可 ※私道面積・持分/260m2×15分の1+10.89m2×15分の1+26m2×15分の1+10m2×15分の1 ※ゴミ置場面積・持分/3.63m2×15分の1 |
||
こだわり項目
区画整理及び分譲地整形地閑静な住宅地LDK15帖以上南向き全居室収納システムキッチンカウンターキッチン温水洗浄便座シャワー付洗面台追焚機能オートバスリビング階段ロフトバリアフリー仕様TVモニタ付インターホン24時間換気システム小学校800m以内保育園・幼稚園800m以内公園800m以内陽当り良好
- ※価格は物件の代金総額を表示しており、消費税が課税される場合は税込み価格です。(1,000円未満は切り上げ。)
税率は引き渡し時期により異なりますので、各物件の詳細につきましてはお問い合わせください。 - ※敷地権利が借地権のものは価格に権利金を含みます。
- ※制作中に内容が変更される場合もありますので、あらかじめご了承ください。
- ※購入の前には物件内容や契約条件についてご自身で十分な確認をしていただくようにお願いいたします。
- ※完成予想図はいずれも外構、植栽、外観等実際のものとは多少異なることがあります。
- ※CG合成の画像の場合、実際とは多少異なる場合があります。
周辺地図
- 現地販売会
- 2025年11月15日(土)〜16日(日) 10:00〜17:00 直接現地へご来場くださいカーナビでお越しの際は市川市真間5-8-2付近を入力して下さい
周辺施設一覧
- ショッピングセンター
- スーパー
- コンビニ
- ドラッグストア
- ホームセンター
- 飲食店
- その他店舗
- 商店街
- 大学
- 専門学校
- 高校・高専
- 中学校
- 小学校
- 保育園
- 幼稚園
- 公民館・児童館
- 病院
- 郵便局
- 役所
- 図書館
- 金融機関
- 警察・消防
- 趣味・娯楽施設
- 公園・運動施設
- 周辺の街並み
- 駅
- その他
お問い合せ先
- 株式会社慶和住宅
- お電話でのお問い合わせは
047-329-1800「ホームページを見た」とお問い合わせください - 千葉県市川市市川2-2-11 ドエル市川1F
- 営業時間:AM9:00~PM7:00
- 定休日:毎週水曜日
- 免許番号:千葉県知事免許(5)第14131号
- 市川市の不動産なら慶和住宅
- 新築一戸建てをエリアから探す
- 市川市
- 真間
- 14号棟 【現 地 見 学 会】市川市真間5丁目 新築戸建 14棟の分譲地











