- 市川市の不動産なら慶和住宅
- 土地をエリアから探す
- 船橋市
- 二和西
- 船橋市二和西5丁目 売地 全8区画
土地
船橋市二和西5丁目 売地 全8区画
情報更新日:2026/01/22 次回更新予定日:2026/01/25 取引条件有効期限:2026/01/25
所在地千葉県船橋市二和西5丁目[周辺地図]
交 通京成松戸線「二和向台」駅徒歩18分





整った区画で住環境良好!
建築条件はございませんので、お好みのハウスメーカー・工務店で建築できます。
ご希望の間取り・仕様・設備で理想のマイホームを建てませんか?
建築条件はございませんので、お好みのハウスメーカー・工務店で建築できます。
ご希望の間取り・仕様・設備で理想のマイホームを建てませんか?
各棟情報
物件詳細情報
物件No.20000402569
| 所在地 | 千葉県船橋市二和西5丁目 | ||
|---|---|---|---|
| 交通 | 京成松戸線「二和向台」駅徒歩18分 京成松戸線「鎌ヶ谷大仏」駅バス3分 バス停「鎌ヶ谷」停歩9分 |
||
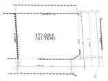
| 土地面積 | 165m² ~ 165m² 実測 | ||
| 販売区画数 | 2区画 | 総区画数 | 全8区画 |
| 用途地域 | 無指定地域 | 建ぺい率 | 50% |
| 容積率 | 100% | 都市計画 | 市街化調整区域 |
| 建築条件 | 建築条件なし | 地目 | 畑 |
| 最適用途 | 住宅用地 | 現況 | 更地 |
| 引渡時期 | 相談 | 引渡条件 | 現況渡し |
| 権利種類 | 所有権 | 接道 | 南側6.5M公道に接道 西側6M私道に接道 |
| 取引態様 | 媒介 | ||
| 設備 | 公営水道、個別浄化槽、都市ガス | ||
| その他制限事項 | 景観法 | ||
| 備考・制限等 | 地目:一部雑種地 現況地目:宅地 要農地転用許可 景観法(船橋市景観計画、船橋市景観条例) | ||
こだわり項目
角地
- ※価格は物件の代金総額を表示しており、消費税が課税される場合は税込み価格です。(1,000円未満は切り上げ。)
税率は引き渡し時期により異なりますので、各物件の詳細につきましてはお問い合わせください。 - ※敷地権利が借地権のものは価格に権利金を含みます。
- ※制作中に内容が変更される場合もありますので、あらかじめご了承ください。
- ※購入の前には物件内容や契約条件についてご自身で十分な確認をしていただくようにお願いいたします。
- ※完成予想図はいずれも外構、植栽、外観等実際のものとは多少異なることがあります。
- ※CG合成の画像の場合、実際とは多少異なる場合があります。
周辺地図
周辺施設一覧
- ショッピングセンター
- スーパー
- コンビニ
- ドラッグストア
- ホームセンター
- 飲食店
- その他店舗
- 商店街
- 大学
- 専門学校
- 高校・高専
- 中学校
- 小学校
- 保育園
- 幼稚園
- 公民館・児童館
- 病院
- 郵便局
- 役所
- 図書館
- 金融機関
- 警察・消防
- 趣味・娯楽施設
- 公園・運動施設
- 周辺の街並み
- 駅
- その他
お問い合せ先
- 株式会社慶和住宅
- お電話でのお問い合わせは
047-329-1800「ホームページを見た」とお問い合わせください - 千葉県市川市市川2-2-11 ドエル市川1F
- 営業時間:AM9:00~PM7:00
- 定休日:毎週水曜日
- 免許番号:千葉県知事免許(5)第14131号
- 市川市の不動産なら慶和住宅
- 土地をエリアから探す
- 船橋市
- 二和西
- 船橋市二和西5丁目 売地 全8区画








